Луга, Дмитриева ул., д.62

Продажа дома
398.8 м2
площадь
10.74 соток
площадь участка
Лужский
район
12 500 000 руб.
31 344 руб. за м2
+7 (812) 333XXXX
Адвекс
Подробная информация
ID: 312406
Трёхэтажный жилой дом, состоящий из двух соединенных между собой домов, расположен в Заречной части города в спальном районе, отличное место положение, рядом стадион, спорт площадки, река, пляж, зоны отдыха, Заречный парк,
магазины, автобусная остановка, до центра и вокзала 10-15 минут пешком.
1 дом бревенчатый 6*8 - 1970 года постр.
2й основной новый дом пенобетон + каркас с утеплителем 6*11 - 2024 года постр.
соединены между собой жилой пристройкой из газобетона 6*10 примерно
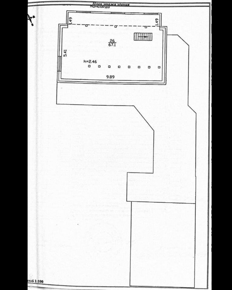
Основной новый жилой 3-х этажный дом выше 1го этажа без отделки,
первый этаж полностью готов - гостинная зона, технический этаж, газовый котел, водогрей, разводка труб.
Теплые полы, стеклопакеты.
второй этаж сделана разводка труб и утепленные каркасные стены.
третий этажи большой площади, без отделки со свободной планировкой - утеплен теплоизол., усб, фанера.
Второй зимний дом из бруса, полностью готовый, жилой, три комнаты, кухня, сан. узел.
Водопровод централизованный, электроводогрей, установлена ванна,
Туалет в доме, канализация центральная,
+ Котельная + водогрей газовый.
Газоснабжение (отопление) подключено.
Электричество 380 - 15 кВт
Участок 10.74 соток в собственности под ИЖС.
На участке: баня (гостевой летний домик), хоз. блок, дровяник, теплица, вольер, большой гараж.
Дом подойдёт для круглогодичного проживания большой дружной семьи, места хватит для всех, и для друзей и для гостей.
Документы готовы, все тех паспорта соответствуют фактической застройке, тех план свежий, межевание сделано.
обременений нет.
Можно в ипотеку, с оформлением поможем при необходимости.
ID объекта 431013
Статус объекта ИЖС
S участка 10.74 соток
Общая S 398.8 м2
Жилая S 317.4 м2
S кухни 6.7 м2
Этажей 3
Состояние ремонта Косм. ремонт
Электричество Да
Газоснабжение Да
Канализация Нет
Отопление Нет
Информация о районе

Распределение общего объема предложений по типам объектов. Информационная сводка построена по базе данных сайта.

3 982 510
руб
средняя стоимость продажи дома
Нужна помощь в выборе лучших предложений?
Похожие предложения в этом районе
Еще 50 фото
Заполье, д.9
Продажа дома
ID: 312107Абсолютно НОВЫЙ (2023 г. п.) качественный жилой зимний коттедж 10*10 (с жилой тёплой пристройкой 13*13)рубленный из бруса 150*150, с каркасной утепленной пристройкой, с мансардой, со всеми удобствами. Внутренняя отделка деревом (вагонка), пропитка акватекс. На капитальном фундаменте (сваи ...
243.3 м2
площадь
30 соток
площадь участка
Лужский
район
12 000 000 руб.
49 322 руб. за м2
+7 (812) 333XXXX
Адвекс

Еще 35 фото
Мшинская массив, Металлург СНТ, д. 421а
Продажа дома
ID: 311523Идеальное место для счастья семьи. Представляем вашему вниманию роскошную усадьбу в экологически чистом районе, окружённую прекрасной природой и наполненную домашним теплом. Здесь вас ждут: Красивый большой жилой дом площадью 170 кв. м с роскошной закрытой террасой 20 кв. м и комфортабельн...
170 м2
площадь
10 соток
площадь участка
Лужский
район
12 700 000 руб.
74 706 руб. за м2
+7 (812) 333XXXX
Адвекс

Еще 22 фото
Турово
Продажа дома
ID: 309869Теплый, надёжный, кирпичный дом с бетонным фундаментом и подвалом высотой 2.2 метра, на огороженном капитальным забором участке ИЖС в 23 сотки. На первом этаже: веранда, ванная комната, с туалетом, сушильное помещение, прихожая 24 метра, комната с камином 22.5 кв. метра и кухня 18 кв. метр...
200 м2
площадь
23 сотки
площадь участка
Лужский
район
12 000 000 руб.
60 000 руб. за м2
+7 (812) 333XXXX
Адвекс

Вся аналитика
Статьи и аналитика рынка